Home Index Site Map Up: National Navigation
Up: National
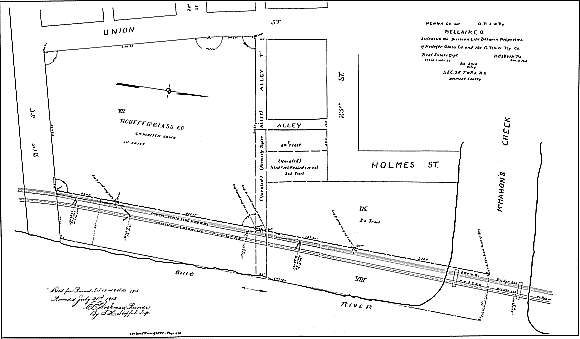
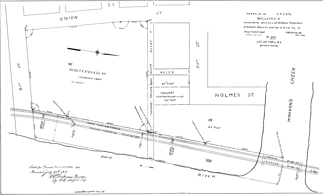
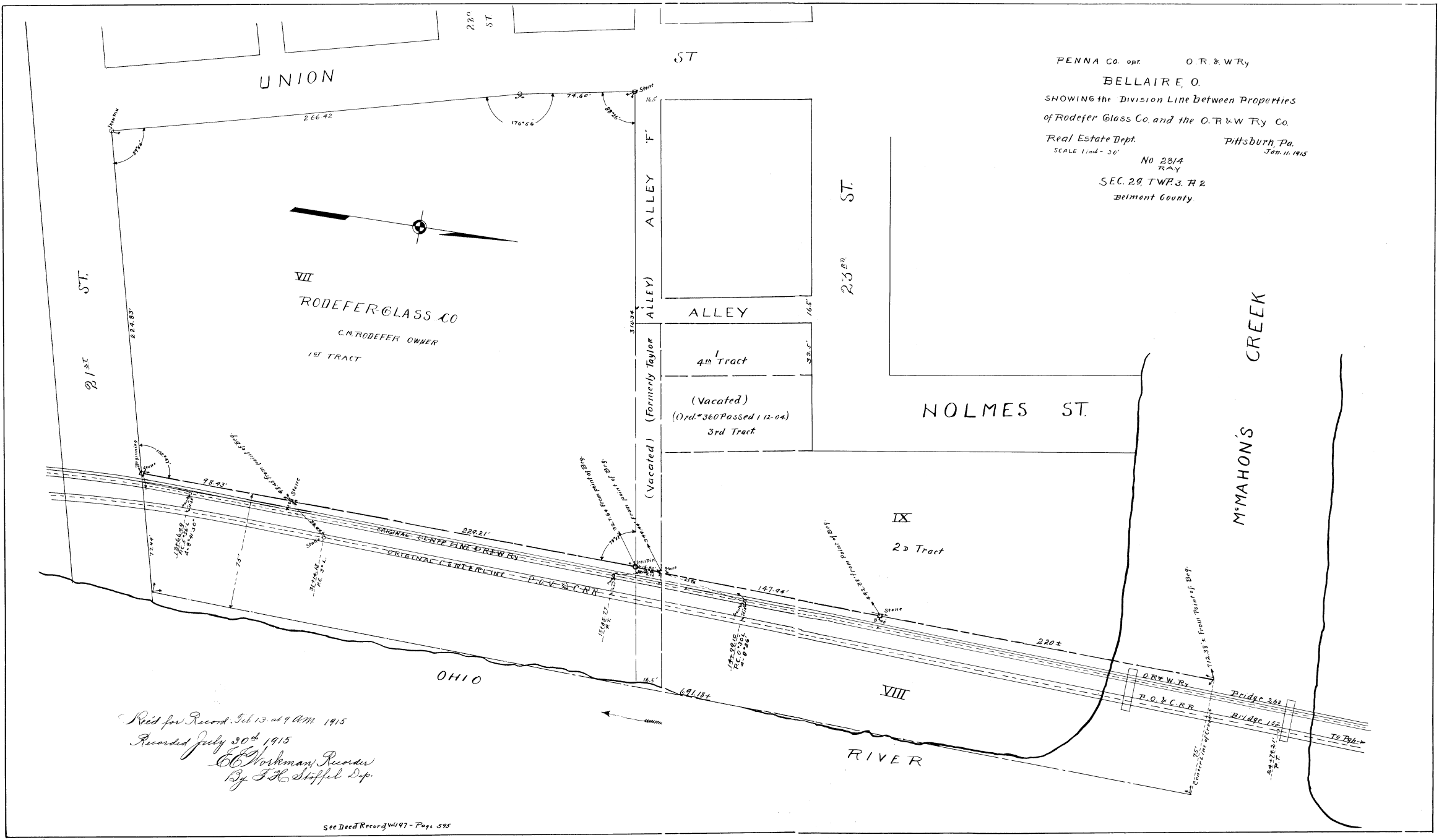
Real Estate Map of Rodefer Glass Co. 1915
Home  > Prism Glass  > United States  > National  > 1915 Map
First: National Glass Works Datums Last: Rodefer Glass Co. Links Prev: National Glass Works Datums Next: National Glass Works Paper Navigation
National: 2 of 4

Rec'd for Record. Feb 13 at 9 a.m. 1915
Recorded July 20th 1915
E. E. Workman, Recorder
By T. H. Stoffel Dep.
See Deed Record, Vol 197 - Page 595
PENNA Co. Opt. O. R. & W. Ry
BELLAIRE, O.
SHOWING the Division Line between Properties
of Rodefer Glass Co. and the O. R. & W. Ry Co.
Real Estate Dept.
SCALE 1 inch = 30'
Pittsburn, Pa.
Jan. 11, 1915
No 2814
RAY
SEC. 29. TWP. 3. R 2
Belmont County


Real Estate Map of National Glass Works 1915
CLICK ON MAP FOR ENLARGEMENT, OR HERE FOR DOUBLE-SIZE ENLARGEMENT